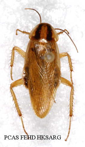
德國小蠊(成蟲)/ Blattella germanica (adult)

德國小蠊(若蟲)/ Blattella germanica (nymph)

| 採集日期 : | 2009年1月 |
|---|---|
| Date of Collection: | January 2009 |
| 採集地點 : | 九龍石硤尾南昌街 |
| Site of Collection: | Nam Cheong Street, Shek Kip Mei, Kowloon |
| 採集人員 : | 防治蟲鼠事務諮詢組 |
| Collected by: | Pest Control Advisory Section |